メニュー

お問い合わせ・ご相談はお気軽にどうぞ

Tel.0120-672-097

Home

 » 東町1丁目売地

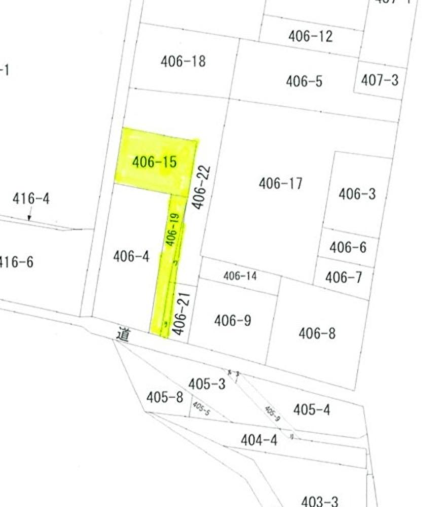
東町1丁目売地

価格850万円

間取

売地
所在地
広島県三原市東町1丁目2-18
東町1丁目売地
交通
JR山陽本線 三原駅から 徒歩6分
築年月
/
新築/中古
売地
面積
計測方式
バルコニー
向き
建物階数
部屋階数
部屋/区画番号
建物構造
間取内容
駐車場
取引態様
仲介
引渡/入居時期
相談
現況
賃貸中
地目
宅地
用途地域
近商
都市計画
市街化
地勢
平坦
土地面積
188.51㎡
土地面積計測方式
建ぺい率
80%
容積率
300%
土地権利
所有権
接道方向
接道詳細
南側幅員約4mの公道に3.2m接道 三原市道 東町7号線
周辺環境
設備・条件
オーナーチェンジ 借地として賃料5万円/月 年額60万円 利回り7.05% 建物はダンススタジオ 第3者所有
令和7年度固定資産税等額 12,493円/年
物件番号

※物件掲載内容と現況に相違がある場合は現況を優先と致します。

三原市不動産ベストアドバイザー ファミリーランド

住所:〒723-0051 三原市宮浦4丁目12番2号 免許番号:広島県県知事免許(4)第9238号

TEL 0120-672-097
お名前(必須)
メールアドレス(必須)
電話番号
メッセージ本文

!34.401182005998415, 133.08865478267313!